211 15th Street, Panama City, FL 32401
Property Photos
Would you like to sell your home before you purchase this one?
Priced at Only: $525,000
For more Information Call:
Address: 211 15th Street, Panama City, FL 32401
Property Location and Similar Properties
- MLS#: 776507 ( CommercialSale )
- Street Address: 211 15th Street
- Viewed: 23
- Price: $525,000
- Price sqft: $117
- Waterfront: No
- Year Built: 1980
- Bldg sqft: 4500
- Days On Market: 110
- Additional Information
- Geolocation: 30.1742 / -85.6629
- County: BAY
- City: Panama City
- Zipcode: 32401
- Subdivision: Segler
- Elementary School: Nortide
- Middle School: Jinks
- High School: Bay
- Provided by: Portfolio Real Estate and Management Group
- DMCA Notice
-
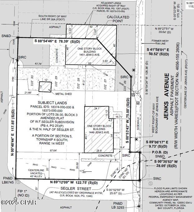
DescriptionExcellent 1.2 Acre Commercial Development Opportunity / Retail Site available consisting of 3 parcels. (18373 000 000, 18373 000 000 & 18374 000 000) Building #1 is approximately 3,000 +/ Sq Ft. and approximately 18' high. Building #2 is approximately 1,500 +/ Sq Ft. with additional paved parking area. Some improvements sustained storm damage and partial repairs have been completed. Surveys and Certified engineered plans for the rebuild of building #1 are available. No value is applied to the Key building located at 1451 Jenks Ave. The FDOT acquired part of the building for right of way expansion. The current tenant is relocating and the building is anticipated to be demolished. Current zoning will not allow any residential uses. All measurements are estimated, please verify all information if important.
Payment Calculator
- Principal & Interest -
- Property Tax $
- Home Insurance $
- HOA Fees $
- Monthly -
For a Fast & FREE Mortgage Pre-Approval
Apply Now
Apply NowFeatures
Building and Construction
- Covered Spaces: 0.00
- Living Area: 0.00
School Information
- High School: Bay
- Middle School: Jinks
- School Elementary: Northside
Garage and Parking
- Garage Spaces: 0.00
- Open Parking Spaces: 0.00
Utilities
- Carport Spaces: 0.00
- Sewer: PublicSewer
- Utilities: SewerAvailable, WaterConnected
Finance and Tax Information
- Home Owners Association Fee: 0.00
- Insurance Expense: 0.00
- Net Operating Income: 0.00
- Other Expense: 0.00
- Pet Deposit: 0.00
- Security Deposit: 0.00
- Trash Expense: 0.00
Other Features
- Legal Description: 5 4S 14W -1.3- 28B BEG 40' S NE COR NW1/4 OF NE1/4 TH W 900' S 590' E 788.64' NE 146.26' ON RR R/W N 495.3' TO POB. & ALL BLK 4 SEGLER & VACATED SOUTH 1/2 14TH CT R/W LESS PRCL, LESS -1.13- ORB 4173 P 483
- Area Major: 02 - Bay County - Central
- Occupant Type: Vacant
- Parcel Number: 18039-000-000
- Possible Use: Retail
- The Range: 0.00
- Views: 23
Similar Properties
- Broker IDX Sites Inc.
- 750.420.3943
- Toll Free: 005578193
- support@brokeridxsites.com


